×
×

Lan òa khóc, ôm chặt lấy chồng: “Anh ơi, đừng đá;;nh! Đừng làm ông ấy bị thươ;;ng, em x;:in anh!”

Tuấn – anh thợ cơ khí ngoài 30 tuổi, lấy vợ được 3 năm. Vợ anh, Lan, nhỏ nhắn, trắng trẻo, đi đâu…

Th;ảm án anh họ l;:ớp 8 gi3t em rồi nh;ét bao tải phitang ở Thanh Hoá: Sẽ không có bản án nào xảy ra, “gia đình cũng không mong muốn”

Trong trường hợp người gây án chưa đủ tuổi chịu trách nhiệm hình sự thì sẽ bị áp dụng biện pháp hành chính…

Nữ sinh ĐH Ngoại ngữ mattich: Đã có manh mối từ chiếc xe đạp điện, tài sản của nanhan rải rác ở nhiều địa điểm khác nhau

Chị Bùi Bích Phương (nữ sinh Đại học Ngoại ngữ) được gia đình báo mất tích từ ngày 11/9. Sau đó, gia đình…

Ôi~ Thanh Hoá: “C;;am;;era chạy bằng cơm” đang hóng tin báo về phát hiện daunguoi không nguyên vẹn…

Camera chạy bằng cơm đang hóng tin báo về là người dân đi bẫy chym thì phát hiện 1 Tạị Đại Lộ Đông…

Toàn bộ lời khai của người anh họ l;;ớ;;:p 8

Ngày 22/9, cơ quan chức năng tỉnh Thanh Hoá đã khám nghiệm hiện trường, khám nghiệm tử thi vụ việc có dấu hiệu…

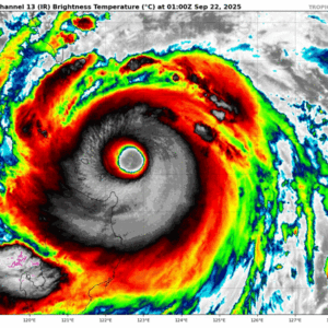
Đường đi rất “ối dồi ôi” của siêu bão Ragasa đang đổ bộ Vịnh Bắc Bộ: “Quái thú” đang nổi giận

Dưới đây là thông tin chi tiết về cơn bão số 9: Bao giờ bão số 9 vào nước ta?, Bão số 9…

Thanh Hoá ơi Thanh Hoá: Thông tin ban đầu là chồng…vợ, ai “yếu” xem là “gãy”

Phường Quảng Phú, Thanh Hóa : Nơi lạnh nhất lúc này. Thông tin ban đầu là ck  vk đang sau đó ….

Diễn biến mới vụ anh họ “tiễn” em 8t rồi phitang trong bao tải ở Thanh Hoá: Có hay không tình tiết về người thứ 3…

Sau khi nắm được thông tin sự viêc, Công an tỉnh Thanh Hóa đang khẩn trương điều tra, làm rõ nguyên nhân cái…

Xíu thích nhất chiếc võng xanh treo trước hiên nhà bà nội.

Ngôi làng nhỏ vùng ven sông vốn yên bình. Trẻ con thường tụ tập nô đùa mỗi chiều, tiếng cười vang vọng khắp…

Người anh cho là “chi phí” ấy lại coi chúng ta là ruột thịt. Anh nên x’;ấu ;h;:ổ!

Phong Bì Trước Lúc Chia Tay Mười năm qua, bà Hòa gần như là một phần không thể thiếu trong căn nhà của…

Our Privacy policy

https://homnaycogimoi.com - © 2025 News